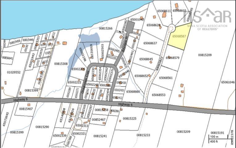
2274 River Road, Plymouth, NS (MLS® 202524810)
2274 River Road, Plymouth, NS, B2H 5C5
MLS® # 202524810
$109,900
2274 River Road, Plymouth, NS (MLS® 202524810): Look no further if you're looking for an upscale 1.25 acre landscaped lot with a driveway already installed. Located just minutes outside of town, you get the benefit of county taxes, but with a major perk, municipal water and sewer. Handy the Trans Canada Highway, and all amenities including hospital, shopping, restaurants, churches, parks, ballfields, and more. This one is just waiting for your new home!
Directions to 2274 River Road, Plymouth, NS (MLS® 202524810): From TCH Exit 25, turn towards Stellarton, left onto East River East Side Road beside the Esso. Turn right onto River Road, property on left, see sign.
Listing Courtesy of: Results Realty Atlantic Inc.
Utilities
Cable
Electricity
High Speed Internet
Telephone
To Be Verified
Schools
| Type | Name |
|---|---|
| Elementary School | F. H. Macdonald Elementary School |
| High School | North Nova Education Centre |
Demographics for 2274 River Road, Plymouth, NS (MLS® 202524810)
Data Source: Statistics Canada Census | RealCentral.io Statistics & Maps Engine
Census Year: 2016
12120145
- Subdivision Name: Pictou, Subd. C
- Division Name: Pictou
- Region Name: North Shore / Côte-nord
- Population Count: 612
- Private Dwellings Count: 260
- Land Area: 22.81 Km2